営業時間: 10:00~19:00
定休日: 毎週火曜日/水曜日
現地
物件画像
周辺環境
QRコードをスキャンして携帯でもご覧になれます。

上池袋1丁目 土地

売地
1億6,000万円
    東京都豊島区上池袋1丁目

    山手線 池袋駅 徒歩 12分

    山手線 大塚駅 徒歩 13分

    東武東上線 北池袋駅 徒歩 14分

    NEW現地見学会おすすめ
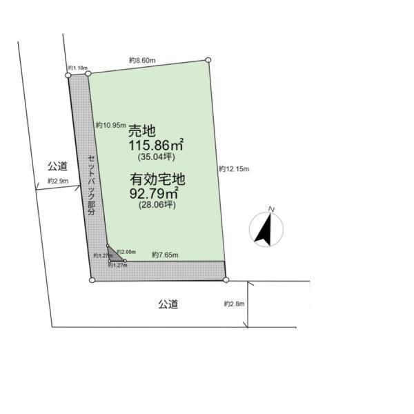
    土地面積
    115.86㎡(35.04坪)[公簿]
    建ぺい率
    60%
    容積率
    300%
    建築条件
    なし
    資料請求お気に入りに追加
    お問い合わせ先: 0120-420-021
    電話でお問合せする

    池袋駅から徒歩13分 大塚駅から徒歩13分の好立地♪ 閑静な住宅街で安心した暮らしを♪

    物件情報
    名称
    上池袋1丁目 土地
    価格
    1億6,000万円
    土地坪単価
    456.60万円
    権利金/保証金
    なし/なし
    所在地
    東京都豊島区上池袋1丁目
    交通

    山手線 池袋駅 徒歩 12分

    山手線 大塚駅 徒歩 13分

    東武東上線 北池袋駅 徒歩 14分

    土地面積
    115.86㎡(35.04坪)[公簿]
    地目
    宅地
    土地権利
    所有権
    土地現況
    古家付(木造(W))
    建築条件
    なし
    設備・条件
    ガス:都市ガス 汚水:公共下水(使用可) 雑排水:公共下水(使用可) 水道:公営水道(使用可)
    都市計画
    市街化区域
    用途地域
    第一種中高層住居専用地域
    建ぺい率/容積率
    60%/300%
    国土法の届出
    不要
    地勢
    平坦
    最適用途
    住宅用地
    セットバック
    あり
    私道負担
    なし
    接道状況
    二方 西:幅員2.9m公道 南:幅員2.8m公道
    引渡時期
    相談
    学区

    豊成小学校 約348m

    巣鴨北中学校 約1500m

    物件情報更新日
    2025年11月28日(物件情報更新日より14日以内に更新)
    物件コード
    12210
    取引態様
    媒介
    資料請求お気に入りに追加
    お問い合わせ先: 0120-420-021
    電話でお問合せする
    株式会社東京ハウジング
    株式会社東京ハウジング
    〒176-0001
    東京都練馬区練馬1丁目4-1 ユニティフォーラムII 5F
    0120-420-021
    営業時間:10:00~19:00 定休日:毎週火曜日/水曜日
    ローンシミュレーション
    • {{error}}
    物件価格
    1億6,000万円
    借入予定額
    万円
    頭金
    万円
    ボーナス(1回分)
    万円
    返済期間
    ローン金利
    金利
    %
    毎月の支払額
    {{repayment_price}} 円
    外観
    その他現地写真
    その他現地写真
    外観
    間取図/区画図
    その他現地写真
    その他現地写真
    間取図/区画図
    外観
    その他現地写真
    その他現地写真
    マルエツプチ上池袋2丁目(スーパー) 169m
    業務スーパー上池袋店(スーパー) 371m
    セブンイレブン上池袋2丁目店(コンビニ) 135m
    ローソンストア100上池袋店(コンビニ) 237m
    ココカラファイン上池袋店(ドラッグストア) 321m
    ウエルシア池袋2丁目(ドラッグストア) 958m
    池袋駅(駅) 900m
    大塚駅(駅) 1000m
    北池袋駅(駅) 1100m
    スマートフォン版の表示に切り替える